Κατά πλειοψηφία την απόφαση της μετακίνησης των υπηρεσιών του Δήμου Ύδρας στην Παλιά Δημοτική Αγορά έλαβε το Δημοτικό Συμβούλιο κατά τη χθεσινή "κεκλεισμένων των θυρών" συνεδρίαση.
Κατά το χθεσινό συμβούλιο το οποίο ασχολήθηκε μόνο το θέμα της αξιοποίησης της Δημοτικής Αγοράς ειπώθηκαν προτάσεις από τν Δήμαρχο, τους Δημοτικούς συμβούλους Παναγιώτη Ράππα, Κατερίνα Μαραγκού, Παναγιώτη Μαρκαντώνη και Λευτέρη Κεχαγιόγλου ενώ έγινε πολύωρη συζήτηση για την χρήση της αγοράς.
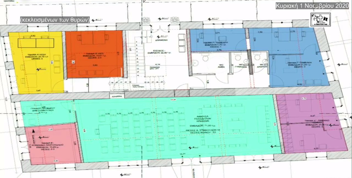
Ο Δήμαρχος ΄Ύδρας Γ. Κουκουδάκης υποστήριξε την πρότασή του για την μεταφορά των υπηρεσιών του Δήμου στον χώρο της Δημοτικής Αγοράς, καθώς όπως ανέφερε στα επόμενα 10 χρόνια οι ανάγκες που θα παρουσιαστούν, θα αυξήσουν τα γραφεία των υπηρεσιών. Θα χρειαστούν νέοι χώροι γραφείων όπως πολεοδομίας, βιολογικού καθαρισμού κτλ. ή άλλων σύνθετων υπηρεσιών και υποστήριξε ότι βάσει αρχιτεκτονικής μελέτης και κατόπιν διαμόρφωσης των παταριών, το κτήριο θα μπορέσει να χωρέσει όλες τις υπηρεσίες όπως και αίθουσα δημοτικών συμβουλίων και πολιτισμού. Συζητήθηκε στο Δημοτικό Συμβούλιο η πρωτοβουλία της Επιτροπής όπου επικεφαλής είναι ο Αλέξης Βερούκας, για χρήση της αγοράς για την παιδεία και τον πολιτισμό, οι οποίοι συγκέντρωσαν 660 υπογραφές και ο Δήμαρχος, ανέφερε ότι επικροτεί τις δράσεις της πρωτοβουλίας, οι οποίες όμως μπορούν αν γίνουν σε άλλους χώρους του νησιού.
Ο δημοτικός Σύμβουλος Παναγιώτης Ράππας, υποστήριξε την δική του πρόταση για παραμονή των υπηρεσιών στο κτήριο του ΟΤΕ, τονίζοντας το μικρό ενοίκιο, την θετική κίνηση του αείμνηστου Α. Κοτρώνη, ενώ τόνισε ότι η μετακόμιση στην αγορά θα είναι δυσάρεστη λόγω μικρού χώρου κατά 100 τ.μ. περίπου. Αναφέρθηκε στο ό,τι η αγορά δεν θα πρέπει να επισκευαστεί με βίαιες παρεμβάσεις και πρότεινε ο χώρος της να στεγάσει υπηρεσίες του Δήμου, των δημοτών και των επισκεπτών της Ύδρας. (Κέντρο πληροφοριών, πωλητήριο, βιβιλιοθήκη ειδικού σκοπού κτλ.)
Ο δημοτικός σύμβουλος Παναγιώτης Μαρκαντώνης αμφισβήτησε την πρόταση του Δημάρχου λόγω μικρής χωρητικότητας της αγοράς, τόνισε πως ενοχλήθηκε από την διακίνηση των υπογραφών της Επιτροπής και την αφισορύπανση και το σύνθημα των αφισών "Σώσε την Αγορά". Η πρότασή του την οποία και ψήφισε ήταν να γίνει δημοψήφισμα συμβουλευτικού χαρακτήρα με όρους διαπαραταξιακής επιτροπής και να τεθούν και οι δύο προτάσεις ώστε να αποφασίσει ο Υδραϊκός Λαός.
Η δημοτική σύμβουλος Κατερίνα Μαραγκού είπε "ναι" στην επισκευή του κτηρίου και τοποθετήθηκε θετικά στην πρόταση του κ. Ράππα αναδιαμορφώνοντας αρχικά μια νέα πρόταση για δοκιμαστική λειτουργία 2-3 ετών με συμβάσεις για διάφορες δράσεις, την οποία όμως δεν ψήφισε μια και επικρότησε τελικά την πρόταση του κ. Δημάρχου.
Ο δημοτικός σύμβουλος Λευτέρης Κεχαγιόγλου υποστήριξε αλλά δεν ψήφισε ούτε την πρότασή του ούτε άλλη πρόταση, ότι ο χώρος της δημοτικής αγοράς θα πρέπει να δοθεί για την ενίσχυση της νεανικής επιχειρηματικότητας, η οποία και επιδοτείται. Κάτι το οποίο θα έδινε δουλειές σε 10 οικογένειες Υδραίων. Παράλληλα ζήτησε στον Δήμο να κάνει νέο συμβόλαιο 15ετίας με τον ΟΤΕ.
Ο δημοτικός Σύμβουλος Μ. Τσακίρης, ο Τάσος Σωτηρόπουλος καθώς οι Μ. Καραμήτσος, Γ. Μπελεγρής, Α. Μαυρομάτη, Μ. Κάτσικα τάχθηκαν υπέρ της πρότασης του Δήμου Ύδρας.
Επίσης αποφασίστηκε ομόφωνα από τα μέλη του δημοτικού συμβουλίου η ένταξη του έργου ανακαίνισης της Δημοτικής Αγοράς στο Πρόγραμμα "Αντώνης Τρίτσης".
Στην συνεδρίαση δεν έλαβαν μέρος, λόγω απουσίας, οι δημοτικοί σύμβουλοι της παράταξης "Νέοι Ορίζοντες για την Ύδρα" του πρ. Δημάρχου Κ. Αναστόπουλου.



















